|
岡山県倉敷市児島 下津井沖 釣り船 |
|
| 料金表 (一部変わりました) |
|
|
からこと丸では、釣り方を限定してないので、いろんな釣り方(鯛ラバ、チョクリ、サビキ釣り、エサ釣り)でお客さんが楽しんで頂ければと思います。
2011年も下記ダービーを開催いたします。
大きさを競うダービーと一日に釣れた枚数で競う2種類のダービーです。
まず、大きさを競う長寸ダービーは1位1万円相当、2位6千円相当、3位4千円相当の景品にしたいと思います。同サイズの場合後から釣られた方に権利とします。
釣れた枚数で競う枚数ダービーは1位6千円相当、2位5千円相当、3位4千円相当の景品にしたいと思います。同数の場合、後から釣られた方に権利とします。
|
|
|
|
|
| 2009年メバルダービー結果、2009年カサゴダービー結果、2010年メバル・カサゴダービー結果、2010年メバル・カサゴダービー結果 | |
|
|
|
|
|
|
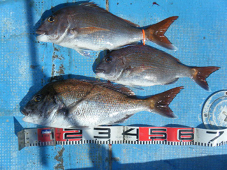
| 2012年真鯛ダービー結果 | |
|
|
|
| 出船した日は釣れても釣れなくてもすべてHPにUPしています。 | |
| 船長携帯(090−3880−3718) | |
| 船でお湯が使えますのでラーメンなど持込OKです。 | |
| 氷は 10ℓまで通年無料です。(魚屋などで使っている軽いチップアイスです) | |
|
今日は朝一番からヒラメがヒット!! 水面までは思わずニベ? 見てビックリ!! 80cmのヒラメで船長もニッコリ!! しかし、肝心なニベはアタリも少なく3本釣れたのみでした・・・後半、メバルとカサゴを狙いました。 |
![]() |
![]() |
![]() |
![]() |
![]() |
![]() |
![]() |
|
|
![]() |
![]() |
![]() |
![]() |
![]() |
![]() |
![]() |
![]() |
|
|
4月29日 メバル、カサゴ 今日も潮が動かずメバルが激渋です、潮が緩んでからエサで良型のメバルが顔を見せてました!! 中盤からはカサゴ中心に釣ってもらいました。 |
|
![]() |
![]() |
![]() |
![]() |
![]() |
![]() |
|
4月28日 1号艇 メバル
今日は潮が小さすぎてメバルもお口を使ってくれません・・・天気も良いので船も多くポイントは混雑してました。 |
![]() |
![]() |
![]() |
![]() |
![]() |
|
4月28日 2号艇 メバル、カサゴ
朝からメバルを狙ったのですが・・・どこに行ってもイマイチお口を使ってくれないので、中盤からカサゴに切り替えてオカズを確保しました。 |
![]() |
![]() |
![]() |
![]() |
![]() |
| 4月27日 1号艇 タイラバ、メバル | |
![]() |
今日はお客さん1名でタイラバがメインで出船!! 朝はメバル釣りしながら後半、タイラバを巻き巻き船長に鯛2枚にお客さんに1枚釣れました。 |
![]() |
![]() |
| 4月27日 2号艇 メバル | |
![]() |
![]() |
![]() |
今日は朝から連掛けが無くほとんど単発でした・・・多い人でメバル20匹ぐらいでしょうか? 最近、渋い日が多いです。 カサゴを狙えば沢山釣れるのですが・・・やはりメバルが人気が良いようです。
|
![]() |
![]() |
![]() |
![]() |
![]() |
|
| 4月25日 1号艇 メバル | |
![]() |
|
![]() |
![]() |
![]() |
![]() |
|
4月25日 2号艇 メバル、真鯛
朝、メバルからスタートしましたが・・・船長のポイントミスで30分ほど無駄に時間を使ってしまいました・・・中盤からタイラバ、イカナゴで真鯛を狙ってみましたが、アタリ無しでした。 |
|
![]() |
![]() |
![]() |
![]() |
![]() |
![]() |
![]() |
![]() |
![]() |
![]() |
|
4月24日 1号艇 メバル、カサゴ
突然の出船でしたが、朝からポロポロと釣れて途中、真鯛もヒットしてメバル多い人で15匹ぐらいの釣果です。 |
![]() |
![]() |
![]() |
|
4月24日 2号艇 メバル、カサゴ
今日は先日に比べ船も多く・・・思うように釣れませんでした!! メバル少ない人で3匹〜多い人で20匹前後でサビキとエサ釣りで上手に使い分けをした人が竿頭さんではないでしょうか? |
![]() |
![]() |
![]() |
![]() |
![]() |
|
4月23日 メバル
2日ほど強風で出船できませんでしたが・・・今日は風も無くメバル日和でした!! 朝一番、イカナゴに真鯛がヒットしましたが・・・3ヒット真鯛2枚キャッチで大物は途中で痛恨のラインブレイク!! |
![]() |
![]() |
![]() |
![]() |
![]() |
![]() |
![]() |
| 4月20日 メバル | |
![]() |
![]() |
![]() |
![]() |
![]() |
![]() |
![]() |
今日は少人数4名で出船しました!!朝から小雨がパラパラと降ってましたが、風は無くメバル日和でした。 |
| 4月19日 1号艇 メバル、カサゴ | |
![]() |
![]() |
![]() |
![]() |
|
先日、1号艇船長も2号艇に乗り込みメバル調査して今日の釣行を頑張りましたが・・・どこに行っても反応も少なく撃沈してしまいました!! おまけに潮も大きくカサゴのお土産も少なかったようです・・・次回頑張ります!! |
|
| 4月19日 2号艇 メバル | |
![]() |
![]() |
![]() |
![]() |
![]() |
![]() |
|
毎日、下津井沖でメバルを頑張ってますが・・・さすがに今日は反応が少なく、所々に群れが出たので仕掛けを入れるとハネが釣れてメバルの姿が消えてしまいました!! メバルも多い人で20匹前後?少ない人はオカズぐらい・・・・毎日頑張ってるのですが、次回も頑張ります。 サビキは最近、からことオリジナルも安定していて良いようですが・・・最初なので700枚ほで作りました、残り100枚ほどです。 |
|
| 4月18日 メバル、カサゴ | |
![]() |
![]() |
![]() |
![]() |
|
今日も朝から厳しく、アタリも少なく単発で連掛けが無くポロポロと釣れるぐらいで、時々2連、3連があるくらいでした・・・メバル多い人で17匹前後で少ない人で赤、黒メバル混ぜて10匹前後の釣果でした。 後半、カサゴを狙ってみましたが、潮が早すぎて釣れませんでした。 |
|
| 4月17日 メバル | |
![]() |
![]() |
![]() |
今日は朝一番もうちょっと釣れるかな?甘かったです・・・単発では釣れるのですが、2連まで3連、4連が無いので数が伸びませんでした!!
|
![]() |
![]() |
![]() |
![]() |
| 4月16日 1号艇 ニベジギング | |
![]() |
![]() |
![]() |
久しぶりのニベジギングです!! ベストシーズンではないですが、まだまだ楽しめますよ!! ニベジギングの希望者が居れば出船いたします。 |
![]() |
![]() |
![]() |
![]() |
| 4月16日 2号艇 メバル | |
![]() |
今日は朝から連掛けがなく・・・単発が多く、釣果が伸びませんでした!! 多い人でメバル23匹前後の釣果でした。 |
![]() |
![]() |
![]() |
![]() |
| 4月15日 1号艇 真鯛、メバル | |
![]() |
![]() |
|
今日はカメラを忘れての出船で、港に帰って写真を写しました!! 朝は久しぶりに真鯛の群れに遭遇しましたが・・・すぐに反応が無くなり真鯛1枚のみでした。 中盤から後半はメバルに切り替えて多い人でメバル23匹前後の釣果でした!! |
|
| 4月14日 1号艇 真鯛、メバル、カサゴ | |
![]() |
![]() |
![]() |
![]() |
![]() |
![]() |
| 朝が悪く中盤から後半にポロポロとヒットする程度でしたが、オカズ程度には釣れました!! グループでしたので仲良く山分け。 | |
| 4月14日 2号艇 メバル | |
![]() |
![]() |
![]() |
![]() |
![]() |
![]() |
![]() |
![]() |
|
潮が小さく変にダラダラと流れて思った以上に大苦戦しました・・・土曜日なので船も多くプレッシャーなのか魚もお口を使いません、船が少なくなるとポロポロと釣れたりしてました。 今日は多い人でメバル25匹前後でしょうか? |
|
| 4月13日 1号艇 メバル | |
![]() |
![]() |
![]() |
![]() |
| 今日は朝からメバル一本勝負で船長も気合を入れて出船!! お客さんにも最近調子の良いサビキとからこと丸オリジナルサビキをお勧め!! 朝一番はオリジナルサビキが大ヒット!!でした。 | |
|
4月13日 2号艇 メバル
|
![]() |
![]() |
![]() |
![]() |
![]() |
|
今日はグループのお客さんで、半数の方がレンタル竿を借りた船初心者でしたが、先日よりも短時間で数は出てました・・・・乗合船の場合は皆さん個別でサビキを買って来られますが、今日の方は朝、待合所で仕掛けを購入して 行きました!! 今年は例年とは違い釣れるサビキが異なっているように思います。エサ仕掛けも幹糸3号?ハリス3号?ほとんど釣れません!!もっと細い仕掛けでないとメバルは目が良いですから・・・こちらも船で1枚2セット入りで300円〜350円で待合所で販売もしてます。 今年、非常に良かった仕掛けも他店のオリジナルサビキですが、今年出たばかりで数が少なく品切れだそうです!! からことオリジナルサビキも6本針が残りわずかで7本針は在庫ありです。 今日は12時で終了しました!!釣れた人、釣れなかった人それぞれですが、メバル10〜25匹前後でみんなで仲良く山分けすると、メバル一人15匹でした。 |
|
| 4月12日 1号艇 真鯛、メバル | |
![]() |
![]() |
![]() |
![]() |
|
今日は真鯛の反応が全く無く・・・イロイロとポイントもランガンしてみましたが、真鯛の顔は見れませんでした・・・今後は真鯛サビキも釣れてれば、真鯛で出ますが釣れてなければメバル、カサゴを混ぜたいと思います。 皆さん、メバルはオカズ程度の釣果でした。 |
|
| 4月12日 2号艇 メバル | |
![]() |
![]() |
![]() |
![]() |
![]() |
今日はメバルも激渋で魚影が出てても、サビキがスルーしてしまう場面が多かったです・・・後半はイカナゴも混ぜて使ってもらいましたが、エサの方が良型が多かったように思いますが・・・これも日替わりです。 |
![]() |
![]() |
![]() |
![]() |
| 4月11日 真鯛、メバル | |
![]() |
今日は朝少しメバル釣りをしてから真鯛を狙いましたが・・・反応は良かったのですが、全くお口を使ってくれませんでした!! 後半、メバルを狙い多い人でメバル13匹の釣果でした。 |
![]() |
![]() |
|
4月10日 メバル
今日は写真を撮るチャンスが余り無くクーラーの中身を最後に写しました!! 12時には風が出始めたので終了しました、メバル一人12匹〜30匹前後の釣果でした。
|
![]() |
![]() |
![]() |
![]() |
![]() |
![]() |
![]() |
![]() |
![]() |
|
4月9日 メバル サビキとイカナゴを使い分けして竿頭ですね!!→
先日が激渋でしたので、今日も駄目かな? これが以外に今日はポロポロと釣れて、中盤に2連、3連、4連、5連と一瞬ですが釣れました。 まだまだ、潮が速く釣りにくいです。 風が強くなり、12時に終了でした。 |
![]() |
![]() |
![]() |
![]() |
![]() |
![]() |
![]() |
| 4月8日 1号艇 真鯛サビキ、メバル | |
![]() |
![]() |
|
朝から真鯛を狙いましたが、最近釣れてたポイントは潮なのか?先日までの爆弾低気圧のせいなのか? サッパリ姿が見えません・・・中盤から後半で狙いをメバルに切り替えましたが、多い人で10匹前後の釣果です。 近場真鯛サビキは真鯛が釣れそうに無い時は、途中でメバル、もしくはカサゴに変更しますので仕掛けを用意してください。 |
|
| 4月8日 メバル | |
![]() |
![]() |
![]() |
![]() |
|
今日は先日よりもアタリも少なく、サビキとイカナゴ両方で試してもらいましたが・・・型が平均良いのはイカナゴですかね? 数も違わなかったですね!! 今日も潮が早く・・・潮緩みにパラパラっと釣れた程度で皆さん平均一人10匹前後の釣果でした。 潮が大きく早すぎ・・・多分小さくなると数も出るかも? |
|
| 4月7日 1号艇 ニベ、メバル | |
![]() |
![]() |
![]() |
![]() |
![]() |
![]() |
![]() |
![]() |
![]() |
![]() |
|
朝はニベからスタート!! 潮が大きいので潮が緩み始めてから釣れ始めて、竿頭さんでニベ11本、後半、粘ってメバル多い人で10匹ぐらいです。 ニベは5月、6月でも釣れますが、リクエストが入れば出船しますのでご予約はお早めにお願いします。 |
|
|
4月7日 2号艇 メバル
連日の大風で今週は、ほとんど出船できませんでしたが・・・ようやく今日はメバルの顔が見れました!! 潮が大きく早いので、中盤で潮が緩んだ瞬間だけメバルがパラパラと釣れました!! |
![]() |
![]() |
![]() |
![]() |
![]() |
![]() |
![]() |
|
今日は皆さんサビキでメバルを狙いましたが、明日からは生きたイカナゴも入荷しましたので、イカナゴでも狙って見たいと思います。 別一人エサ代は300〜500円で行けると思います。 潮が小さくなると、エサで大型のメバルも出てくると思いますので、小潮がおススメです!! |
|
| 4月2日 1号艇 真鯛、カサゴ | |
![]() |
![]() |
![]() |
![]() |
![]() |
![]() |
| 前半、中盤は真鯛を狙いましたが、反応は良いのですが・・・口を使ってくれません? 後半にカサゴを狙って終了しました。 | |
|
4月2日 2号艇 メバル
朝から風が強くピンポイントで場所になかなか入らず・・・思うように釣果も伸びませんでしたが、釣れれば良型が多く大きいものでメバル29cmまで出てました!! |
|
![]() |
![]() |
![]() |
![]() |
![]() |
![]() |
![]() |
![]() |
![]() |
![]() |